Il fenomenoL'uragano Imelda si abbatte sulle Bermuda: chiusi aeroporto, scuole e uffici governativi2 ottobre 2025
la tempestaUsa, uragano Milton passa a categoria 5 e minaccia la Florida: le immagini satellitari8 ottobre 2024
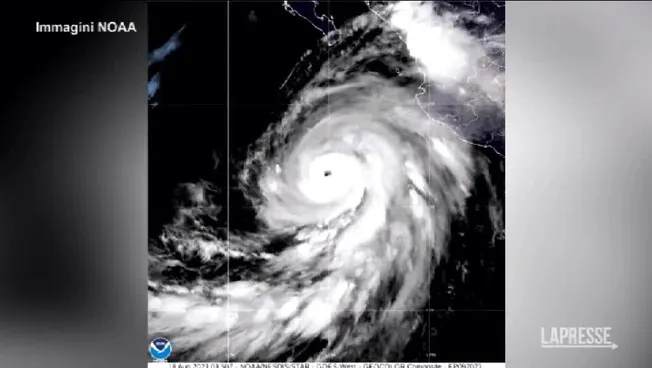
Il monitoraggioMessico, l'uragano Hilary verso la California: le immagini viste dal satellite18 agosto 2023