FloridaFlorida, auto finisce contro un bar e uccide 4 persone: la folle corsa e lo schianto9 novembre 2025
Come in un westernFlorida, poliziotti a cavallo inseguono e catturano un sospetto spacciatore9 febbraio 2025
Storia dell'orroreMangia carne poco cotta? Il corpo invaso dai vermi: le immagini agghiaccianti24 gennaio 2025
Attacco brutaleMichael Millett sbranato e ucciso a otto anni da due cani: una storia terrificante, chi è il proprietario delle belve15 gennaio 2025
Trovata assurdaUsa, una influencer gioca a golf in bikini durante l'uragano: "Ecco perché l'ho fatto"12 ottobre 2024
Da MiamiElettra Lamborghini, foto virale: "Uragano Milton? Non so cosa vi raccontino in Italia, ma qui..."11 ottobre 2024
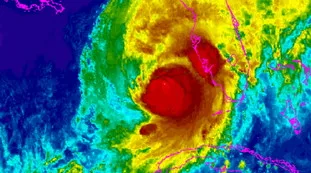
L'ora della pauraUragano Milton sulla Florida, devastazione totale. La tempesta del secolo, "ormai è tardi per scappare"10 ottobre 2024
L'uraganoUragano Milton, terrore negli Usa. Biden: "Scappate, questione di vita o di morte". Il meteorologo in lacrime9 ottobre 2024
A processoFlorida, rinchiuso per gioco in una valigia e la fidanzata non lo libera: una morte orribile, il video-choc9 ottobre 2024
SorpresaLe nozze finiscono in disgrazia: corna omosex, chi sposa questa 29enne un anno dopo8 ottobre 2024